Queshya 2009
28.01.2009
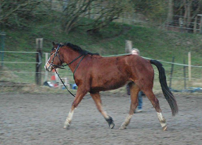
Queshya und Quinn sind die beiden Pferde mit denen ich am Liebsten arbeite. Queshya lernt so unglaublich schnell, daß ich mich sehr bremsen muß. Schlieslich ist sie noch keine 3 und ich hatte mir vorgenommen erst in einem halben Jahr richtig mit der Arbeit anzufangen. Wenn ich mit einem Halfter in den Offenstall komme, steht Queshya sofort bereit und möchte mit. Ich brauche ihr das Halfter nur hinhalten, sie zieht es praktisch alleine an. Wenn wir dann zum "Arbeiten" auf den Platz gehen ist sie richtig stolz. Sie nimt neue Dinge sehr schnell auf und vergißt sie auch nicht. Sie stellt auch nicht immer wieder alles in Frage wie ihre Mama. Dabei hat sie zwar Temperament, ist aber extrem ausgeglichen und ganz einfach zu regulieren. Weil ich mit Reiten und Fahren noch nicht anfangen will, habe ich mit Zirkuslektionen angefanen. Als erstes hat sie das Kreuzen der Vorderbeine glernt. Dafür hat sie an zwei Tagen nur jeweils 5 Minuten gebraucht. An der Longe üben wir hin und wieder 10 Minuten die Kommandos Schritt und Trab und Halt. Ab nächster Woche fange ich mit der Dressurmäßigen Bodenarbeit mit Gebiss nach Philippe Karl an. Neulich habe ich versucht ob sie Schulterherein und Konterschulterherein versteht, ich hatte sie am Knotenhalter. Sie hat es direkt verstanden. Ich hab dann natürlich sofort aufgehört, sollte ja eigentlich nur ein Versuch sein. Sie sieht zur Zeit wieder wie ein Isländer aus...brrrr...naja ich hoffe, daß sie mich wie jedes Jahr im Sommer überrascht... Queshya wird jetzt von Isa angelernt: im Beruf der Leitstute. Immer wieder können wir Szenen wie diese beobachten: Isa steht in der Mitte des überdachten Teil des Offenstalls, Queshya steht bei ihr. Eines der anderen Pferde versucht an einen bestimmten Heusack heranzukommen. Queshya scheucht das Pferd weg. Isa steht da und beobachtet die Szene. Wenn das andere Pferd nicht gehen will, legt Isa die Ohren an das richt in den meisten Fällen um den "Eindringling" zu verscheuchen. Miss und Luna gehen sofort. Samira geht meistens nicht, dann kommt Isa! Neulich habe ich sogar beobachtet, wie Isa Miss strafte, weil sie Queshya gebissen hatte. Ich hätte früher nie gedacht, daß es so etwas gibt. Interessant ist es auch zu beobachten, daß der Wiederstand gegen Queshya durch diese Strategie immer wenige wird. Ich kann mir praktischerweise sicher sein, daß Queshya reguliert wird, wenn sie überschnappt.
Sommer 2009
Sobald ich Queshya ein paar mal in der Bahn gritten hatte, gingen wir auch ins Gelände. Das war total unproblematisch. Queshya ist sehr mutig und unerschrocken, so daß es wirklich keine Schwierigkeiten bei den Begegnungen mit anderen Pferden, Fahrzeugen usw. gab.
Weil alles so gut lief, fing auch Julia bald an Queshya in der Bahn und im Gelände an Shya zu reiten, später nahmen wir Jannis als Handpferd mit ins Gelände.
Herbst 2009
Den Rest des Jahres haben wir ein gemäßigtes Arbeitspensum absolviert. Queshya hat gelernt, mit Kindern als Handpferd ins Gelände zu gehen oder mit Reiter longiert zu werden. Auf dem Platz haben wir viel Abkauübungen gemacht, gelöst, sind auf großen Bögen geritten und haben angefangen die Schulter zu verschieben und abzuwenden. An der Kutsche waren wir bisher nur 2-spännig unterwegs. Das hat alles prima geklappt. Im nächsten Jahr steigern wir das Pensum.
Suche nach ...
- 2013
- 2014
- 2015
- 2016
- 2017
- 2018
- 2019
- 2020
- 2022
- Aladin
- Alezan brulé
- Amazone
- Anfängerpferd
- Anglo Normanne
- Anreiten
- Bichette 125 FM
- C-Linie
- Cabaret
- Cabernet
- Cajoleur
- Cajoline
- Calisto
- Calva
- Calypso
- CamedodlSteF
- Camy
- Canada
- Canto vom Zälg
- Capriccho
- Capéo
- Caran d'Ache
- Caran d'Ache
- Cardinal
- Carlsson
- Cavaleur
- Chadow
- Charmant du Peupé
- Chaumanne
- Chianti
- CLF
- Closer
- CokaPetitcoeur
- Coldplay
- Cométe
- Cookies
- Cosimo
- CostardDeChatigani
- Coventry
- Crepuscule
- Cybelle
- D-Linie
- Damiano de Puits
- Daniela Häuptle
- Deutschland
- Discotte
- Doktryner
- Don Adonis
- Don Athos
- Don Caprio
- Don Fenaco
- Don Fernando
- Don Festino
- Don Flamingo
- Don Flavio
- Don Juan
- Don Linie
- Don Odin
- Don Ovan
- Don Pablo
- Don Perignon
- Douchka
- Dressur
- Dunkelfuchs
- E-Linie
- Ecossais
- Edifice
- Edoras
- Eiffel
- Eiger
- Einfahren
- Einkreuzung
- Elfique
- El Paso
- Elyo
- ElyseeII
- Elysee II
- Emerson
- Enjoleur
- Enrice
- Envol
- Epesses
- Epigenetik
- Equateur
- Equus Helveticus
- Erfahrungsberichte
- Eric Renaud
- Ernest
- Erode
- Escot
- Esperanzo
- Estafette
- Etendard
- Ethan
- Eucario
- Euredice
- Euro
- Everton
- Evian
- Evident
- Evita
- Expresso
- Fahrsport
- Fahrtraining
- Familie1Vaillant
- Familie3
- Familie4
- Familie4 Kermès
- Familie18
- Familie22Doktryner
- Familie23 Orson
- Familie24
- Familie26 Alsacien
- Farbzucht
- Feldtest
- Festina
- Final FM
- FM
- Fohlenschau
- Fremdblut
- Fritz Schmid
- Gavotte
- Genetik
- Glovelier
- H-Linie
- Halipot
- Haloa
- Hamlet
- Hanael
- HannibalVM
- Happy-Day
- Hara-Kiri
- Haribo
- Harmonieux
- Harrison
- Harthus
- Hartorius
- Hastragal
- Hastral
- Havane
- Havanie
- Hayden
- Helix
- Helloween
- Helsinki
- Helvética
- Hendrix
- Hengst
- Hengste
- Hengstlinien
- Hengstmutter
- Henrique
- Hermitage
- Hevron
- Hiloire
- Hiro
- Historique
- Historisches
- Hitch
- Hobby
- Hoby-Wan
- Hodler
- Hokaydo
- Holympe
- Holzrücken
- Hombre
- Hontario
- Horizon des Ouès
- Horlando
- Horléon vom Kappensand
- Houcine
- Hourasi
- Houston
- Hulax
- Hurrikan
- Hydromel
- Imprévu
- Interview
- Inzucht
- Ivoire
- Jarana
- Jiska
- Judäa
- Jura
- Jurassien
- Kutsche
- L
- L'Artiste
- L'Aura
- L-Linie
- Labelle
- Lambada
- Lambado Boy
- Landlord
- Laos
- Largo
- Larson
- Lasko
- Lasting
- LC
- Leader
- Legato
- Leon
- Leo Risch
- Libero
- Lilian
- Lilou
- Limoncello
- Lingo
- Lionel
- Little Boy
- Little Joe vom Meierhof
- Littoral
- Livio
- Louis
- Lovari
- Loxy
- Lugano
- Luna
- Luxeur
- Lyroi
- Malaisie
- Malice
- Malinéka
- Mandoline
- Marché Concours
- Margot
- Mazurka
- Merida
- Miss
- Mitochondrien
- N-Linie
- Nabor
- Nabucco
- Nachzucht
- Nadal
- Naoki
- Napero
- Narino
- Naska FW
- Nathan
- Natif des Aiges
- Nationalgestüt Avenches
- Natural
- Neckar
- Nectar
- Nejack
- Nelio
- NellDeCoeur
- Nello
- Nelly
- Neptune des Champs
- Never
- Neverboy
- Never BW
- Neverland
- Newton
- Niagara
- Nikito
- Nikos
- Nils du Sous-Bois
- Ninifee
- Ninjo HRE
- Niro
- Nirvana
- Nixon
- Noble Coeur
- Noctambus
- Nocturne
- Nolane
- Nolo
- Nonstop
- Nord du Peupé
- Nordica
- Norway
- Nostalgie
- Novac
- Novartis
- Noé
- NPZ
- Néco
- Népal
- Orient
- P-Linie
- Palme d'Or
- Petitcoeur Coka
- Pferdekauf
- Pourquoi Pas
- Pourquoi Pas dCV
- Prada
- Prunelle
- Q-Linie
- Quarex
- Quasanova de Jasman
- Quebec
- Que d'Espoire
- Queens
- Quendal
- Queshya
- Qui-Sait
- Quinn
- Quinto
- Quistar
- Quitus
- Quyara
- Quésac
- R-Linie
- Rappe
- Redaktor
- Rico
- Rothschild
- Samira
- Schimmel
- Schwand
- Schweiz
- Selle francais
- Socrate
- Springen
- Stammzuchtbuch
- Stationstest
- Stute
- Stübben Derby
- Termine
- Therapiepferd
- Trevis
- U-Linie
- UniqueD'Avril
- Uran
- Ursprung
- V-Linie
- Vaillant
- Vako
- Valentino
- Valenzio
- Vartan
- Verwandtschaftsgrad
- Verwandtschaftskoeffizient
- Vitali
- Vol de Nuit
- Vollblutaraber
- Voltigeur
- Volvic
- Vreni Schmid
- Warmblut
- Western
- Wolf
- Zucht
