Quinn 2009
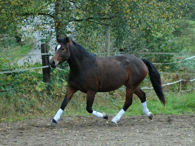
Juni 2009
Tanja war da und konnte mir an einem Wochenende helfen Quinn wieder ans Laufen zu bekommen. Uns fehlte Schub, wir hatten weder Kruppe noch Schulter, geschweige denn den Rücken. Jetzt biege ich vorerst gar nicht mehr, sondern konzentriere mich erst mal darauf die Schulter zu arbeiten, denn die braucht Quinn um sich zu stabilisieren. Quinn braucht wenig Biegung, er ist eher hyperflexibel.
Mai 2009
Im Frühjahr kam der Fjordwallach Tristan zu uns. Quinn und Tristan verstanden sich auf Anhieb und wurden Kumpels.
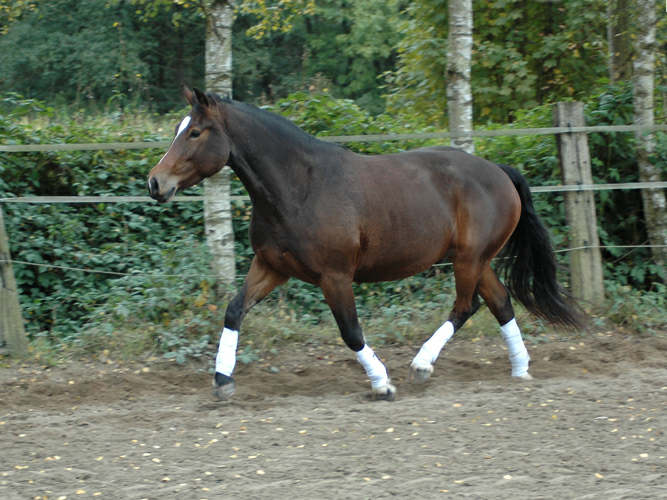
März 2009
Quinn fällt über seine eigenen Beine. Er ist total instabil und geht keinen Schritt mehr geradeaus. Er verbiegt und verwirft sich. Daniela sagt sie kann mir nicht helfen, ich soll auf dem nächsten Workshop meine Fragen stellen
Januar 2009
Wir haben angefangen das Angaloppieren an der Longe zu üben. Ich brauche nur die Gertenspitze über Brusthöhe zu führen, dann galoppiert Quinn an. Dabei versammelt er sich selber, hebt den Widerrist und springt wunderbar unter. Dieses Hüpfen mit der Vorhand macht ihm richtig Spaß. Manchmal fragt er ob er im Trab auch diesen Hüpfer machen soll, das ignoriere ich erst mal. Dann hat er mir das selbe im Stehen angeboten. Er ist 5 mal mit den Vorderbeinen gehüpft und war richtig Hengst. Jetzt weiß ich das ich ihm das Steigen auf Kommando ganz leicht beibringen könnte, aber das lasse ich lieber....
Suche nach ...
- 2013
- 2014
- 2015
- 2016
- 2017
- 2018
- 2019
- 2020
- 2022
- Aladin
- Alezan brulé
- Amazone
- Anfängerpferd
- Anglo Normanne
- Anreiten
- Bichette 125 FM
- C-Linie
- Cabaret
- Cabernet
- Cajoleur
- Cajoline
- Calisto
- Calva
- Calypso
- CamedodlSteF
- Camy
- Canada
- Canto vom Zälg
- Capriccho
- Capéo
- Caran d'Ache
- Caran d'Ache
- Cardinal
- Carlsson
- Cavaleur
- Chadow
- Charmant du Peupé
- Chaumanne
- Chianti
- CLF
- Closer
- CokaPetitcoeur
- Coldplay
- Cométe
- Cookies
- Cosimo
- CostardDeChatigani
- Coventry
- Crepuscule
- Cybelle
- D-Linie
- Damiano de Puits
- Daniela Häuptle
- Deutschland
- Discotte
- Doktryner
- Don Adonis
- Don Athos
- Don Caprio
- Don Fenaco
- Don Fernando
- Don Festino
- Don Flamingo
- Don Flavio
- Don Juan
- Don Linie
- Don Odin
- Don Ovan
- Don Pablo
- Don Perignon
- Douchka
- Dressur
- Dunkelfuchs
- E-Linie
- Ecossais
- Edifice
- Edoras
- Eiffel
- Eiger
- Einfahren
- Einkreuzung
- Elfique
- El Paso
- Elyo
- ElyseeII
- Elysee II
- Emerson
- Enjoleur
- Enrice
- Envol
- Epesses
- Epigenetik
- Equateur
- Equus Helveticus
- Erfahrungsberichte
- Eric Renaud
- Ernest
- Erode
- Escot
- Esperanzo
- Estafette
- Etendard
- Ethan
- Eucario
- Euredice
- Euro
- Everton
- Evian
- Evident
- Evita
- Expresso
- Fahrsport
- Fahrtraining
- Familie1Vaillant
- Familie3
- Familie4
- Familie4 Kermès
- Familie18
- Familie22Doktryner
- Familie23 Orson
- Familie24
- Familie26 Alsacien
- Farbzucht
- Feldtest
- Festina
- Final FM
- FM
- Fohlenschau
- Fremdblut
- Fritz Schmid
- Gavotte
- Genetik
- Glovelier
- H-Linie
- Halipot
- Haloa
- Hamlet
- Hanael
- HannibalVM
- Happy-Day
- Hara-Kiri
- Haribo
- Harmonieux
- Harrison
- Harthus
- Hartorius
- Hastragal
- Hastral
- Havane
- Havanie
- Hayden
- Helix
- Helloween
- Helsinki
- Helvética
- Hendrix
- Hengst
- Hengste
- Hengstlinien
- Hengstmutter
- Henrique
- Hermitage
- Hevron
- Hiloire
- Hiro
- Historique
- Historisches
- Hitch
- Hobby
- Hoby-Wan
- Hodler
- Hokaydo
- Holympe
- Holzrücken
- Hombre
- Hontario
- Horizon des Ouès
- Horlando
- Horléon vom Kappensand
- Houcine
- Hourasi
- Houston
- Hulax
- Hurrikan
- Hydromel
- Imprévu
- Interview
- Inzucht
- Ivoire
- Jarana
- Jiska
- Judäa
- Jura
- Jurassien
- Kutsche
- L
- L'Artiste
- L'Aura
- L-Linie
- Labelle
- Lambada
- Lambado Boy
- Landlord
- Laos
- Largo
- Larson
- Lasko
- Lasting
- LC
- Leader
- Legato
- Leon
- Leo Risch
- Libero
- Lilian
- Lilou
- Limoncello
- Lingo
- Lionel
- Little Boy
- Little Joe vom Meierhof
- Littoral
- Livio
- Louis
- Lovari
- Loxy
- Lugano
- Luna
- Luxeur
- Lyroi
- Malaisie
- Malice
- Malinéka
- Mandoline
- Marché Concours
- Margot
- Mazurka
- Merida
- Miss
- Mitochondrien
- N-Linie
- Nabor
- Nabucco
- Nachzucht
- Nadal
- Naoki
- Napero
- Narino
- Naska FW
- Nathan
- Natif des Aiges
- Nationalgestüt Avenches
- Natural
- Neckar
- Nectar
- Nejack
- Nelio
- NellDeCoeur
- Nello
- Nelly
- Neptune des Champs
- Never
- Neverboy
- Never BW
- Neverland
- Newton
- Niagara
- Nikito
- Nikos
- Nils du Sous-Bois
- Ninifee
- Ninjo HRE
- Niro
- Nirvana
- Nixon
- Noble Coeur
- Noctambus
- Nocturne
- Nolane
- Nolo
- Nonstop
- Nord du Peupé
- Nordica
- Norway
- Nostalgie
- Novac
- Novartis
- Noé
- NPZ
- Néco
- Népal
- Orient
- P-Linie
- Palme d'Or
- Petitcoeur Coka
- Pferdekauf
- Pourquoi Pas
- Pourquoi Pas dCV
- Prada
- Prunelle
- Q-Linie
- Quarex
- Quasanova de Jasman
- Quebec
- Que d'Espoire
- Queens
- Quendal
- Queshya
- Qui-Sait
- Quinn
- Quinto
- Quistar
- Quitus
- Quyara
- Quésac
- R-Linie
- Rappe
- Redaktor
- Rico
- Rothschild
- Samira
- Schimmel
- Schwand
- Schweiz
- Selle francais
- Socrate
- Springen
- Stammzuchtbuch
- Stationstest
- Stute
- Stübben Derby
- Termine
- Therapiepferd
- Trevis
- U-Linie
- UniqueD'Avril
- Uran
- Ursprung
- V-Linie
- Vaillant
- Vako
- Valentino
- Valenzio
- Vartan
- Verwandtschaftsgrad
- Verwandtschaftskoeffizient
- Vitali
- Vol de Nuit
- Vollblutaraber
- Voltigeur
- Volvic
- Vreni Schmid
- Warmblut
- Western
- Wolf
- Zucht
